我記得剛開始在陽台種花草時,最怕看到葉子出現不明黃斑,或是枝條上冒出白色棉絮狀的東西。那時我像無頭蒼蠅,上網亂查,關鍵字打「葉子黃斑怎麼辦」,結果跳出幾十種可能,從缺水到絕症都有。我試過亂噴肥皂水、辣椒水,結果問題沒解決,植物反而更虛弱。直到我在一家老書店翻到一本厚厚的《台灣植物病蟲害圖鑑》,才發現我需要的不是偏方,而是一本像「植物家庭醫生手冊」一樣的工具書。
這本書救了我的琴葉榕,也讓我明白,面對植物生病,第一步永遠是「正確診斷」。而一本好的植物病蟲害圖鑑,就是你的診斷儀器。
什麼是植物病蟲害圖鑑?它如何幫到你?
很多人以為植物病蟲害圖鑑就是一本充滿蟲子可怕照片的百科全書。不只這樣。一本編排好的圖鑑,更像一份「病歷對照表」和「用藥指南」的結合體。它的核心價值在於幫你建立系統性的診斷邏輯。
我以前犯的錯,就是看到蟲就只想殺蟲,看到斑點就只想殺菌。但很多時候,葉子發黃可能是根部腐爛(環境問題)引起的次級感染,你拼命噴藥只會加速植物死亡。好的圖鑑會教你區分「病徵」(植物表現出來的樣子,如黃斑)和「病兆」(病原體本身的樣子,如霉層),並引導你從觀察環境和栽培歷史開始思考。
一本完整的圖鑑通常包含幾個部分:病蟲害的清晰特寫照片(最好有不同階段的樣貌)、危害特徵描述、發生生態(什麼季節、環境容易發生)、以及防治建議。台灣本土編纂的圖鑑尤其重要,因為它收錄的就是你在本地花市、陽台、公園最常遇到的種類,實用性直接翻倍。
如何正確使用一本植物病蟲害圖鑑?
拿到圖鑑別從第一頁開始讀,那不是小說。它是一本工具書,你要學會「查詢」。
觀察症狀:你的植物在說什麼?
停下你想立刻噴藥的手。拿出手機或筆記本,記錄以下幾點:
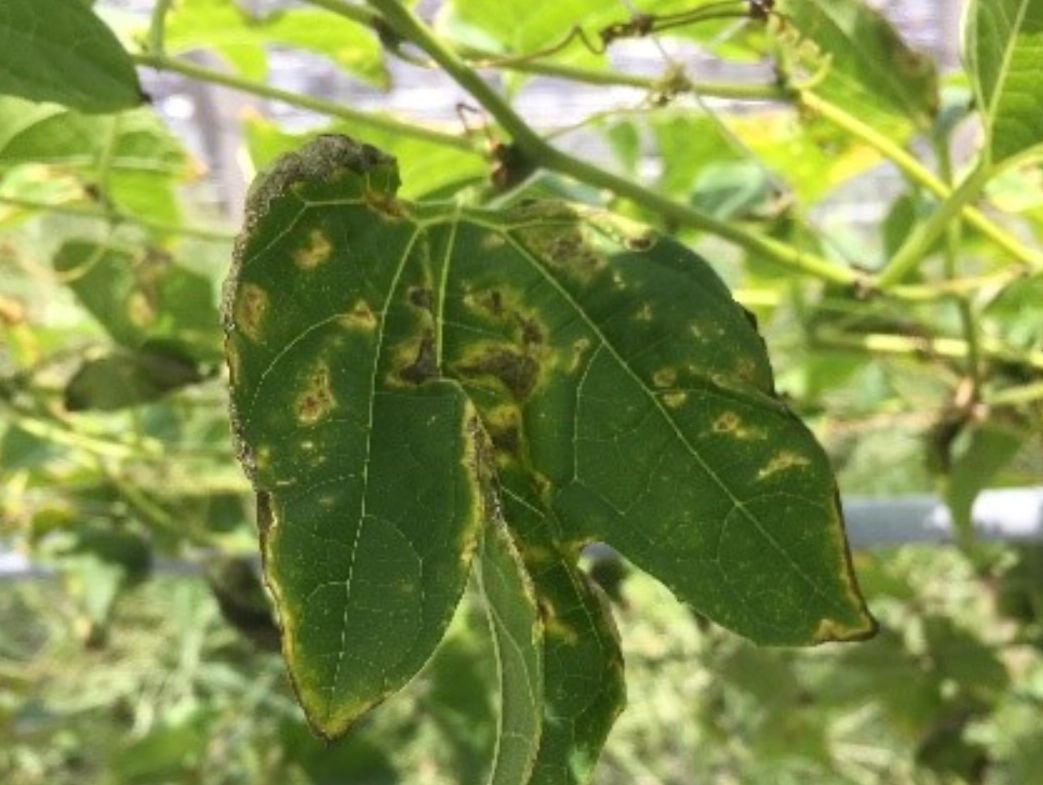
1. 發病部位: 是新葉還是老葉?是葉面、葉背、枝條還是根部?蚜蟲愛吸嫩芽汁液,紅蜘蛛偏好躲在老葉葉背結網。
2. 症狀形態: 斑點是什麼顏色(黃、褐、黑)?有沒有同心圓或水浸狀邊緣?蟲體本身長什麼樣?(有翅膀嗎?會動嗎?顏色?)盡量拍照,細節越多越好。
3. 環境與近期管理: 這週是不是連續下雨?(濕度高易發真菌病)是不是剛施了濃肥?(肥傷可能導致葉緣焦枯)盆栽是不是放在不通風的角落?
我常看到有人把曬傷的焦斑誤認為葉枯病,把介殼蟲當成是植物自己長的疙瘩。差別就在細節裡。
比對圖鑑:關鍵特徵抓出來
根據你的觀察,利用圖鑑的目錄或索引來查找。好的圖鑑會有不同的檢索方式:
- 依植物種類查詢: 直接翻到「玫瑰」、「蘭花」、「蔬菜」等章節,看該類植物常見的病蟲害。
- 依病徵查詢: 例如「葉部斑點」、「枝幹腐爛」、「萎凋」等,這適合當你不確定病原時使用。
- 依害蟲/病原名稱查詢: 如果你已經大概知道是「蚜蟲」或「白粉病」,可以直接找詳細資料。
比對時,照片比文字更重要。仔細看圖鑑中病徵的質感、顏色分布,和你家的是否吻合。文字描述則幫你確認細節,例如「病斑後期會出現黑色小點(孢子堆)」,你就可以等等看或仔細找找有沒有這個特徵。
確認防治:對症下藥才有效
找到最可能的元兇後,仔細閱讀防治方法。這裡你會發現,化學藥劑往往是最後一招。圖鑑通常會列出:
- 栽培防治: 改善通風、避免過度澆水、清除病葉。這是最根本的。
- 物理/生物防治: 用水沖掉蚜蟲、懸掛黃色黏蟲板、引入瓢蟲等天敵。
- 化學防治: 推薦的適用藥劑及稀釋倍數。請務必注意安全間隔期與使用安全。
很多人只盯著第三點看,忽略了前面兩步,結果就是問題反覆發生。
實體書 vs. 線上圖鑑:我的使用心得與推薦
現在資源很多,該買書還是上網查?我的建議是:兩者並用,但實體書是核心。線上資源更新快、免費,但資訊碎片化,廣告和錯誤資訊也多。一本權威的實體書幫你建立正確知識框架。
📚 我的實體書櫃推薦(以台灣常見植物為核心)
1. 《台灣植物病蟲害圖鑑》系列(行政院農業委員會編)
這幾乎是台灣園藝愛好者的聖經。分冊詳細,照片權威,防治建議貼近本地農藥資材現況。雖然是農業角度,但居家觀葉植物、果樹的問題大多涵蓋。價格稍高,但值得投資。書店或農會常能找到。
2. 《家庭園藝病蟲害防治》
更針對陽台、頂樓花園的入門書。語言較淺白,會直接告訴你「看到這個樣子,可以先試試這個方法」。對新手非常友善,能快速建立信心。
線上資源我主要用作輔助確認和查看動態影像。有些蟲的活動樣子,照片看不出來,YouTube短片就很有幫助。
| 資源類型 | 推薦名稱/網站 | 特點與最佳使用時機 | 注意事項 |
|---|---|---|---|
| 權威資料庫 | 行政院農業委員會「植物保護資訊系統」 | 最官方、最正確的資料。適合確認病蟲害正式學名、最新推薦藥劑。 | 介面較學術,檢索需要一點技巧。 |
| 專業機構圖鑑 | 林業試驗所「植物病蟲害圖鑑」 | 針對樹木、森林病害,如果你種的是大型木本植物或果樹,這裡資料很寶貴。 | 範圍較特定。 |
| 社群討論 | Facebook社團「種植狂歡會」、「觀葉植物迷交流站」 | 可以上傳照片求助,有許多熱心花友分享實戰經驗。適合找不到答案時。 | 答案品質參差不齊,需自行交叉比對,勿盲從偏方。 |
我自己習慣:先用自己的實體圖鑑做初步診斷,遇到不確定的,上農委會系統查學名和最新防治公告,如果需要看蟲怎麼動或更直觀的比對,再去專業社群看看有無類似案例。這樣一套下來,八九不離十。
進階技巧:從圖鑑使用者到問題解決者
當你熟悉圖鑑後,可以玩點更高階的。
建立自己的「病歷簿」: 準備一本小本子或手機備忘錄,記錄每株植物何時生病、症狀、你判斷的原因、採取的處理方式,以及後續恢復情況。久了之後,你會對自家環境的「高風險病蟲害」瞭若指掌,甚至能在發病初期就預警。
比如我發現,每年梅雨季前後,我家通風較差的角落,植物特別容易得煤煙病。現在我每到那個時節,就會提前檢查、稍微拉開盆距,問題就少了很多。這就是圖鑑給你的,不只是治療,更是預防的智慧。
理解「綜合防治」: 圖鑑看多了,你會發現沒有「萬靈丹」。真正的植物健康管理,是結合環境管理、選擇抗病品種、定期觀察、並在必要時精準用藥的綜合策略。你會開始挑剔植物的擺放位置,在乎土壤的配方,這些才是讓園藝生活輕鬆長久的根本。
常見疑難雜症問答
最後想說,養植物就像交朋友,生病是它向你發出求救信號。一本好的植物病蟲害圖鑑,就是你讀懂這些信號的翻譯機。它不會讓你立刻成為專家,但能讓你在慌亂時有個可靠的依據,一步步從「植物殺手」變成懂得傾聽的植物夥伴。開始去翻翻圖鑑吧,你會發現,那些看似可怕的病斑和蟲子,背後都是一套可以理解的自然邏輯。